property_1756260578797.jpg
property_1756260579745.jpg
property_1756260580784.jpg
property_1724640866766.jpg
property_1724640866874.jpg
property_1724640866985.jpg
property_1724640867083.jpg
property_1740555620287.jpg
property_1740555620406.jpg
property_1740555620524.jpg
property_1740555620648.jpg

รายละเอียด

ที่ดินว่างเปล่า โครงการหาดเพชรเมืองใหม่ เพชรบุรี

จำนวน 4 กลุ่ม 

กลุ่มที่ 1 เนื้อที่ดิน 0 ไร่ 1 งาน 80 ตารางวา (แบ่งเป็น 3 แปลง) มูลค่า 262,800 บาท

กลุ่มที่ 2 เนื้อที่ดิน 0 ไร่ 1 งาน 20 ตารางวา (แบ่งเป็น 2 แปลง) มูลค่า 175,200 บาท

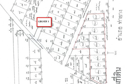
กลุ่มที่ 3 เนื้อที่ดิน 2 ไร่ 2 งาน 62 ตารางวา (แบ่งเป็น 12 แปลง) มูลค่า 1,550,520 บาท

กลุ่มที่ 4 เนื้อที่ดิน 0 ไร่ 2 งาน 49 ตารางวา (แบ่งเป็น 3 แปลง) มูลค่า 363,540 บาท

ราคาขายรวม : 2,350,000 บาท

การเดินทาง
ถนนเพชรเกษม (เพชรบุรี)

สถานที่ใกล้เคียง
- หาดเพชร
- โรงเรียนบ้านบ่อไร่
- วัดดอนเตาอิฐ
- โรงเรียนดอนเตาอิฐ

สิ่งอำนวยความสะดวก

ขนาดพื้นที่

4 ไร่ 11 ตร.ว.

รายละเอียดเพิ่มเติม

รหัสทรัพย์
A58H0000044C
ประเภททรัพย์สิน
-
ประเภทเอกสารสิทธิ์/เลขที่
โฉนดเลขที่ 31251-31253, 31332-31333, 31408-31419,
ทำเลที่ตั้ง
ถนนสายเขื่อนเพชร-ปีกเตียน
ราคาปกติ
-
ราคาพิเศษ
2,350,000
เบอร์โทรติดต่อ
065-520-3474, 065-520-3475 065-520-3474, 065-520-3475,

สถานที่ตั้งทรัพย์

ทรัพย์สินที่คุณน่าจะชอบ

ที่ดินว่างเปล่า อ.นายาง, ท่ายาง เพชรบุรี

ที่ดินว่างเปล่า อ.นายาง, ท่ายาง เพชรบุรี

ตำบล ปึกเตียน อำเภอท่ายาง เพชรบุรี

  • 108 ไร่ 1 งาน 56 ตร.ว.